| Aerial view of same area shown in Photo One. From this perspective it is obvious that these rocks have in fact been arranged into large patterns. Archaeologists believe it was done by prehistoric people, probably for agricultural purposes. The pattern was simply too large to be detected by someone standing on the ground. To give you an idea of its size, compare the size of the trees in the ground and aerial view |
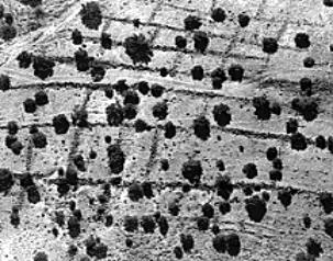
| Many times the archeologist or researcher will walk right over a spot of antiquity without realizing it...BUT when shot from the air, a whole new picture of the site comes into view. A ground view of a rock-strewn field south of Santa Fe, New Mexico, in which the stones appear more or less randomly distributed, except for a few possible alignments. No overall pattern can be detected at ground level. Photos by Tom Baker |




| Photo One Typical ground view of a buried Southwestern pueblo (town) site. The contrast between the bare areas of ground and the surrounding grass and other vegetation form a pattern, but this pattern is too large to detect at ground level. |
| Photo to left is mound between Honey Creek and Burlington Photographed Mary Sutherland Photo to right is effigy on Hwy 83 outside of Burlington Wisconsin Photographed by Photographed by C.W. Beemer June 27, 1927 View looking north. |
| Photo Two No vegetation grows over the walls of the buried roomblocks of this ancient town, possibly because the adobe (mud) used in the construction of the walls and rooms is sterile, or too densely packed. The result is that the outlines of the buried pueblo are revealed to the aerial observer. Some of the rooms (at center of photo) have been opened by excavation, leaving rectangular cavities. The small circle in the center of the largest enclosure (plaza) is the trace of the pueblo's kiva, or semi-subterranean ceremonial chamber (the small tree beside it is the same one in the center of the ground-level photo). |


| The Adena Mound Builders of North America Exploring the Unknown with Brad and Mary Sutherland |
| Brad and Mary Sutherland 248 Carver Street Winslow, Illinois 61089 815 367 1006 |

| Allow me to Introduce Myself .... Click Here |
| Get Your Book Autographed by Mary Sutherland by ordering directly off my website ! CLICK HERE |
| After reading the following pages on this Amazing Race of Mound Builders- your life and perception of the past will never be the same! Mary Sutherland CLICK HERE |
| In Search of Ancient Copper Culture and Mound Builders with Brad and Mary Sutherland Rock Lake Rock Lake 2 Rock Lake 4 Canary Island Rock Lake 5 Rock Lake Native American Lore Rock Lake Pyramids Skulls and Mysteries Lake Monsters of Rock Lake Aztalan Franks Hill Burlington Michigan Kentucky Cannabalism Toltec |
| BURIAL SITE PROTECTION LAW OF 1985 "Thanks to the introduction of new state and Federal laws, Wisconsin's remaining mounds have now been protected. According to the Burial Site Protection Law of 1985, Wisconsin progressively defined all Native American mounds as human burial places. The law protects them from disturbance and destruction, as it does for all cemeteries and family plots. |